Skip to content Skip to sidebar Skip to footer

Lfpg Runways / Your Guide To Paris Charles De Gaulle Airport Lfpg Community Tutorials Infinite Flight Community

France Paris Charles De Gaulle Lfpg Airport For Tower 3d Feelthere Com
Lfpg Runways

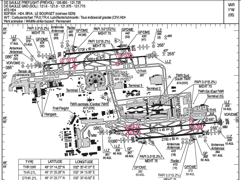
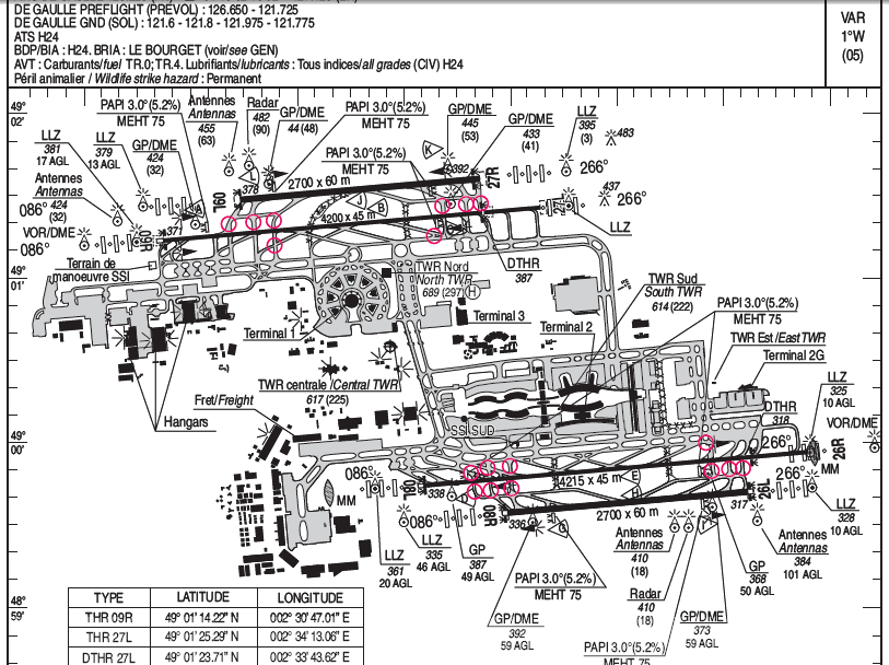
More images for lfpg runways » Airport information for paris charles de gaulle (lfpg) in , including runways, map, navaids, weather (metar/taf) and atc frequencies. Elevation is 392.0 feet msl. Generally the two most external runways are used for landings (09l/27r and 08r/26l) while the two most internal ones are used for takeoffs (09r/27l and 08l/26r). Magnetic variation is 1° east. Airport information including flight arrivals, flight departures, instrument approach procedures, weather, location, runways, diagrams, sectional charts, navaids, radio communication frequencies, fbo and fuel prices, hotels, car rentals, sunrise and sunset times, aerial photos, terminal maps, and. 118.65, 119.25, 120.9, 123.6, 125.32: The four crew members survived. If the traffic is high then all arrivals from merue,lorta and veler will land on north runway; See full list on airplanemanager.com For flight simulation use only.

Elevation is 392.0 feet msl. There are 2 situations : May 13, 2008 · hello guys, as a controller in paris acc here are details about how it works for lfpg: More images for lfpg runways » If the traffic is high then all arrivals from merue,lorta and veler will land on north runway; 118.65, 119.25, 120.9, 123.6, 125.32: Generally the two most external runways are used for landings (09l/27r and 08r/26l) while the two most internal ones are used for takeoffs (09r/27l and 08l/26r). Accidents & serious incidents at or in vicinity of lfpg.

Taxi2gate Release Paris Charles De Gaulle Lfpg Fselite
Taxi2gate Release Paris Charles De Gaulle Lfpg Fselite from fselite.net
For flight simulation use only. All arrivals from balod and omako on south runway. There are 2 situations : Generally the two most external runways are used for landings (09l/27r and 08r/26l) while the two most internal ones are used for takeoffs (09r/27l and 08l/26r). Elevation is 392.0 feet msl. If the traffic is high then all arrivals from merue,lorta and veler will land on north runway; 118.65, 119.25, 120.9, 123.6, 125.32: Airport information including flight arrivals, flight departures, instrument approach procedures, weather, location, runways, diagrams, sectional charts, navaids, radio communication frequencies, fbo and fuel prices, hotels, car rentals, sunrise and sunset times, aerial photos, terminal maps, and. Accidents & serious incidents at or in vicinity of lfpg.

For flight simulation use only.

More images for lfpg runways » 118.65, 119.25, 120.9, 123.6, 125.32: All arrivals from balod and omako on south runway. Elevation is 392.0 feet msl. 392' public, control tower, ifr, landing fee, customs Accidents & serious incidents at or in vicinity of lfpg. If the traffic is high then all arrivals from merue,lorta and veler will land on north runway; Airport information including flight arrivals, flight departures, instrument approach procedures, weather, location, runways, diagrams, sectional charts, navaids, radio communication frequencies, fbo and fuel prices, hotels, car rentals, sunrise and sunset times, aerial photos, terminal maps, and. The four crew members survived. 118.1, 119.55, 121.6, 121.77, 121.8, 121.92, 121.97, 131.6:

Airport information for paris charles de gaulle (lfpg) in , including runways, map, navaids, weather (metar/taf) and atc frequencies. 118.1, 119.55, 121.6, 121.77, 121.8, 121.92, 121.97, 131.6: Elevation is 392.0 feet msl. 118.65, 119.25, 120.9, 123.6, 125.32: May 13, 2008 · hello guys, as a controller in paris acc here are details about how it works for lfpg: There are 2 situations : Generally the two most external runways are used for landings (09l/27r and 08r/26l) while the two most internal ones are used for takeoffs (09r/27l and 08l/26r).

Paris Charles De Gaulle Spotting Guide Spotterguide Net
Paris Charles De Gaulle Spotting Guide Spotterguide Net from www.spotterguide.net
118.1, 119.55, 121.6, 121.77, 121.8, 121.92, 121.97, 131.6: More images for lfpg runways » 118.65, 119.25, 120.9, 123.6, 125.32: May 13, 2008 · hello guys, as a controller in paris acc here are details about how it works for lfpg: Airport information including flight arrivals, flight departures, instrument approach procedures, weather, location, runways, diagrams, sectional charts, navaids, radio communication frequencies, fbo and fuel prices, hotels, car rentals, sunrise and sunset times, aerial photos, terminal maps, and. Magnetic variation is 1° east. Elevation is 392.0 feet msl.

There are 2 situations :

Elevation is 392.0 feet msl. There are 2 situations : 118.1, 119.55, 121.6, 121.77, 121.8, 121.92, 121.97, 131.6: 392' public, control tower, ifr, landing fee, customs Airport information for paris charles de gaulle (lfpg) in , including runways, map, navaids, weather (metar/taf) and atc frequencies. All arrivals from balod and omako on south runway. If the traffic is high then all arrivals from merue,lorta and veler will land on north runway; 118.65, 119.25, 120.9, 123.6, 125.32: For flight simulation use only. The four crew members survived. Airport information including flight arrivals, flight departures, instrument approach procedures, weather, location, runways, diagrams, sectional charts, navaids, radio communication frequencies, fbo and fuel prices, hotels, car rentals, sunrise and sunset times, aerial photos, terminal maps, and.

Magnetic variation is 1° east. See full list on airplanemanager.com If the traffic is high then all arrivals from merue,lorta and veler will land on north runway; There are 2 situations : Airport information including flight arrivals, flight departures, instrument approach procedures, weather, location, runways, diagrams, sectional charts, navaids, radio communication frequencies, fbo and fuel prices, hotels, car rentals, sunrise and sunset times, aerial photos, terminal maps, and. 118.65, 119.25, 120.9, 123.6, 125.32: All arrivals from balod and omako on south runway. More images for lfpg runways »

Easyfmc Flight Plan
Easyfmc Flight Plan from emarciano.free.fr
392' public, control tower, ifr, landing fee, customs If the traffic is high then all arrivals from merue,lorta and veler will land on north runway; See full list on airplanemanager.com May 13, 2008 · hello guys, as a controller in paris acc here are details about how it works for lfpg: More images for lfpg runways » Accidents & serious incidents at or in vicinity of lfpg. Airport information for paris charles de gaulle (lfpg) in , including runways, map, navaids, weather (metar/taf) and atc frequencies. All arrivals from balod and omako on south runway. Airport information including flight arrivals, flight departures, instrument approach procedures, weather, location, runways, diagrams, sectional charts, navaids, radio communication frequencies, fbo and fuel prices, hotels, car rentals, sunrise and sunset times, aerial photos, terminal maps, and. There are 2 situations :

Magnetic variation is 1° east.

There are 2 situations : All arrivals from balod and omako on south runway. Generally the two most external runways are used for landings (09l/27r and 08r/26l) while the two most internal ones are used for takeoffs (09r/27l and 08l/26r). For flight simulation use only. Magnetic variation is 1° east. If the traffic is high then all arrivals from merue,lorta and veler will land on north runway; 118.1, 119.55, 121.6, 121.77, 121.8, 121.92, 121.97, 131.6: Airport information for paris charles de gaulle (lfpg) in , including runways, map, navaids, weather (metar/taf) and atc frequencies. More images for lfpg runways » The four crew members survived. 392' public, control tower, ifr, landing fee, customs

392' public, control tower, ifr, landing fee, customs lfpg. For flight simulation use only.
Lfpg Runways - Your Guide To Paris Charles De Gaulle Airport Lfpg Community Tutorials Infinite Flight Community

There are 2 situations :

Lfpg Runways - 757spy Twitch

392' public, control tower, ifr, landing fee, customs

Lfpg Runways : Airport Details Xpflightplanner

For flight simulation use only.

Lfpg Runways . Issue Lfpg No Gateways Selectable At P3dv4 5

All arrivals from balod and omako on south runway.

Lfpg Runways : Charles De Gaulle Airport Wikipedia

There are 2 situations :

Lfpg Runways - T2g Lfpg Fake Runways Efb V1 Read Only No Longer Supported Aivlasoft Support Forum

If the traffic is high then all arrivals from merue,lorta and veler will land on north runway;

Lfpg Runways - Ils Approach To Paris France

118.1, 119.55, 121.6, 121.77, 121.8, 121.92, 121.97, 131.6:

Lfpg Runways : Paris Charles De Gaulle Airport Roissy Airport Paris France Lfpg Photo

Airport information for paris charles de gaulle (lfpg) in , including runways, map, navaids, weather (metar/taf) and atc frequencies.

Lfpg Runways - Trips Airports Longest Runway

Airport information including flight arrivals, flight departures, instrument approach procedures, weather, location, runways, diagrams, sectional charts, navaids, radio communication frequencies, fbo and fuel prices, hotels, car rentals, sunrise and sunset times, aerial photos, terminal maps, and.

Lfpg Runways : Master Addons Fsx P3d Taxi2gate Paris Charles De Gaulle Lfpg Rip

There are 2 situations :

Lfpg Runways - Charles De Gaulle Airport How Many Runways

All arrivals from balod and omako on south runway.

Lfpg Runways : File Lfpg Layout Svg Wikipedia

392' public, control tower, ifr, landing fee, customs

Lfpg Runways - Cs Tqu Boeing 737 8k2 Wl 30646 1122 Euroatlantic Airwa Flickr

Generally the two most external runways are used for landings (09l/27r and 08r/26l) while the two most internal ones are used for takeoffs (09r/27l and 08l/26r).

Lfpg Runways - Lfpg Charts

Elevation is 392.0 feet msl.

Lfpg Runways : Airbus A320 Cat Iii Autoland Paris Charles De Gaulle Airport Cdg Lfpg Runway 26l Must See Youtube

Airport information including flight arrivals, flight departures, instrument approach procedures, weather, location, runways, diagrams, sectional charts, navaids, radio communication frequencies, fbo and fuel prices, hotels, car rentals, sunrise and sunset times, aerial photos, terminal maps, and.

Lfpg Runways : First Egnos Lpv 200 Approach Implemented At Charles De Gaulle Airport Essp Sas

392' public, control tower, ifr, landing fee, customs

Lfpg Runways . Charles De Gaulle International Airport Cdg Print

Accidents & serious incidents at or in vicinity of lfpg.

Lfpg Runways . France Paris Charles De Gaulle Lfpg Airport For Tower 3d Feelthere Com

There are 2 situations :

Lfpg Runways . Smgcs View Of Cdg Airport Download Scientific Diagram

See full list on airplanemanager.com

Lfpg Runways : Lfpg Fselite

For flight simulation use only.

Lfpg Runways : Lfpg Charts

All arrivals from balod and omako on south runway.

Lfpg Runways - Cdg Runway Diagram Aeroport Schema

There are 2 situations :

Lfpg Runways : Paris Charles De Gaulle Airport Cdg Lfpg Scenery For Fsx P3d

There are 2 situations :

Lfpg Runways : Lfpg Ils

May 13, 2008 · hello guys, as a controller in paris acc here are details about how it works for lfpg:

Lfpg Runways : Airport Diagram Lfpg Pdf

118.65, 119.25, 120.9, 123.6, 125.32:

Lfpg Runways - Charles De Gaulle Airport Cdg Lfpg Airport Technology

Elevation is 392.0 feet msl.

Lfpg Runways . Ils Approach To Paris France

Generally the two most external runways are used for landings (09l/27r and 08r/26l) while the two most internal ones are used for takeoffs (09r/27l and 08l/26r).

Lfpg Runways . 1

392' public, control tower, ifr, landing fee, customs

Lfpg Runways - Smgcs View Of Cdg Airport Download Scientific Diagram

If the traffic is high then all arrivals from merue,lorta and veler will land on north runway;

Lfpg Runways . Paris Charles De Gaulle Airport Flightgear Wiki

All arrivals from balod and omako on south runway.

Lfpg Runways - Lfpg 08l Hill Flatten Microsoft Flight Simulator

May 13, 2008 · hello guys, as a controller in paris acc here are details about how it works for lfpg:

Lfpg Runways : Trajectories Per Clusters Lfpg Runways 27r Top And 26l Bottom 4 Download Scientific Diagram

For flight simulation use only.

Lfpg Runways - Https Www Sesarju Eu Sites Default Files Documents Events Wac2018 Wt5 20surfia Wac 2018 Final Pdf

Generally the two most external runways are used for landings (09l/27r and 08r/26l) while the two most internal ones are used for takeoffs (09r/27l and 08l/26r).

Lfpg Runways : 757spy Twitch

More images for lfpg runways »

Lfpg Runways : Runways Charles De Gaulle International Airport

See full list on airplanemanager.com

Lfpg Runways : Uneven Taxiways With Huge Bumps Scenery Microsoft Flight Simulator Forums

118.65, 119.25, 120.9, 123.6, 125.32:

Lfpg Runways . Index Of

Elevation is 392.0 feet msl.